|
|
|
飼育分享 - 葉䗛 Phyllium siccifolium 飼育全記錄 + 蛻皮記錄
(這篇文章已經被閱讀了 3559 次) 時間:2014/03/26 00:57:37am 來源:愛昆蟲的阿儒
------------------------------------------------------------------- 艾曲批 在 2014/03/26 16:35 由於此文章對 愛昆蟲的阿儒 進行如下操作: 獎勵積分 50 理由: 貼圖區文章獲選本站精華。 -------------------------------------------------------------------
[LIKE=airdan;穎;oba72367r;蔡jeremy;gacsliu;瘋狂a瑞;cortex;kh;就愛兜鍬;tornieri;kuwata;阿布拉;benlin1972;apighhh33;阿勇哥;chiang3138;pps33;candy8;Cleverboy;zxf19800613;e0963141457;chang06;MRK;ckevin66;老兵;h2chung;kmuh5816;=LIKE][這篇文章最後由愛昆蟲的阿儒在 2014/03/26 08:12:14pm 第 9 次編輯]
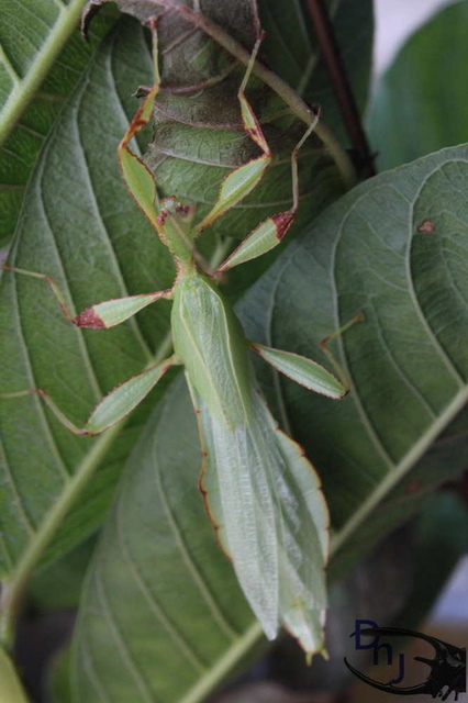
葉 䗛 Phyllium siccifolium (葉 䗛(ㄒㄧㄡ) 這個字輸入法找不到,所以多數人都用 " 脩 "代替。另外這篇文章文字和照片可能很多,不喜歡的可以直接轉頁,謝謝!)
此主題相關圖片如下:


按此查看圖片詳細資料
我想多數蟲友對此蟲不陌生,這蟲是所有竹節蟲中最喜歡的一種,因為牠顛覆一般人對竹節蟲的印象! 牠長得不像樹枝條,但是長得像葉子。其實還是有不少種竹節蟲跟一般人印象不同,但我特別對牠獨鍾...
以前雖然飼養過,但往往都沒養出母成蟲...拿到的都是公蟲~"~ 有點誇張! 一時興起又想試試,所以於去年2013年11月04號於蟲友那購入了數隻若蟲
跟幾位朋友聊過後,覺得葉脩飼養的問題主要就在於幾點,目前想到這些: 1.空間方面,當然有大的空間較好,夏天最好要通風,這樣才不悶熱,空間大也可避免若蟲脫皮失敗。 2.噴水盡量避免噴到小若蟲身上(霧狀水氣較佳),不然有可能黏在飼育容器壁上或水滴在若蟲呼吸氣孔上導致窒息(這是聽朋友說的) 若發現有若蟲正在脫皮也盡量別噴水噴到若蟲身上,濕度不夠應該也容易導致若蟲脫皮時斷腳(個人猜想,因蜘蛛、蠍子這類脫皮脫殼的生物也是如此)。 3.乾淨的葉子,牠們主要食用芭樂葉,少數會接受食用玫瑰葉、蓮霧葉等等,葉子從外摘回來,建議清洗過,避免有農藥或是些不乾淨的東西,若有介殼蟲或粉蝨之類的雜蟲可在清洗時用牙刷刷掉(這點也有跟朋友交流過,他說其實有這類雜蟲似乎也沒關係,不過如果不放心還是給他洗掉吧!)
另外聽說蟲體顏色變化跟溫度有關,道裡似乎跟秋天葉子顏色變化一樣,也聽說有人養出特殊色若蟲,但下次脫皮又變回原色 不過葉䗛中還是有穩定特殊色血源的後代。(有關特殊色這方面其實我也沒很清楚,如有誤還請多分享。)
不再繼續說這些@@ 葉䗛環境布置簡單,我是用水苔(或衛生紙)保濕鋪底,我鋪底的目的是讓裡面有個濕度在,其他蟲友養我是不知道有沒有人像我一樣有在鋪底@@'' 在來準備個容器裝水,可放插花用綠海綿或一般洗車用海綿來固定芭樂樹枝條,洗車用海棉在中間割十字形才可插,重複使用率比插花海綿還高,且海綿塞在容器中還可避免葉䗛落入水中而溺死。 (海綿吸水有個濕度,舖底改用全海綿應該也不錯!)
起初的飼育環境圖: 容器為XL的飼養箱,隻數24隻L1~3都有。 依上圖這樣看來,其實算是擁擠,因為牠們都會處在在芭樂葉中,少數會爬到飼養箱蓋子上休息,若將芭樂葉枝條分散些,那環境就還OK! 只要看若蟲成長進度適時給予適合大小的空間久可以了。 底部水苔如上方所說的,目的是保持飼養箱內濕度(有沒有效不太知道XD) 樹枝條可說放好看的,給牠們爬爬或翻身用(至今是沒看過牠們會像甲蟲一樣六腳朝天無法翻身,所以也可算是放好玩的@@") 水盆是用窄口菌瓶,海綿中間割個十字形塞在杯口處,這樣就不怕若蟲落入水中溺死,也可固定枝條。
起初飼養了幾天,都還沒什麼問題。 依目前我的環境,枝葉乾枯時間不長,不過還是得依牠們食量來補充 從到手11/3號至今11/10號,僅補過一次,11/3號的枝葉約在11/6或7號換過,所以目前大概三、四天就要補充一次。
此主題相關圖片如下:


按此查看圖片詳細資料
葉䗛若蟲覓食:
此主題相關圖片如下:


按此查看圖片詳細資料
此主題相關圖片如下:


按此查看圖片詳細資料
此主題相關圖片如下:


按此查看圖片詳細資料
剛到家的飼育照:
此主題相關圖片如下:


按此查看圖片詳細資料
此主題相關圖片如下:


按此查看圖片詳細資料
可愛的葉子精靈,經過鏡頭近看牠時,覺得真的好有趣 長的像葉子的一隻蟲,臉面無表情 呆呆的...很喜歡下面這張姿勢,很有性格的感覺
此主題相關圖片如下:


按此查看圖片詳細資料
此主題相關圖片如下:


按此查看圖片詳細資料
此主題相關圖片如下:


按此查看圖片詳細資料
此主題相關圖片如下:


按此查看圖片詳細資料
此主題相關圖片如下:


按此查看圖片詳細資料
此主題相關圖片如下:


按此查看圖片詳細資料
葉䗛蛻下的皮,通常會在自己吃掉,不過有時受到干擾之類的 就不吃了...
此主題相關圖片如下:


按此查看圖片詳細資料
公母分法: (2013/11/19) 飼養多日的葉䗛,陸陸續續的脫皮長大,終於有些若蟲可以明顯分辨公母。 分辨方法很簡單,可挑一樣齡數的若蟲來分辨比較準(聽朋友說三齡若蟲就可來分辨),若不會分齡數就挑差不多大小的就可以了。 公葉䗛的尾端較尖弧度較直,有點接近三角形,且觸鬚明顯會長一點,等下次脫皮身體和觸鬚會更修長些,直到成蟲。 母葉䗛觸鬚較短,尾部較寬大,有點類似「凸」字型。 而通常公葉䗛都會長得比母葉䗛快,我想依自然的原理大概是避免近親交配吧!
此主題相關圖片如下:


按此查看圖片詳細資料
公葉䗛圖:
此主題相關圖片如下:


按此查看圖片詳細資料
已隱約可見小翅芽,等小翅芽變得更綠,看起來變得有點厚,就等於要脫皮了。
此主題相關圖片如下:


按此查看圖片詳細資料
此主題相關圖片如下:


按此查看圖片詳細資料
母葉䗛圖:
此主題相關圖片如下:


按此查看圖片詳細資料
此主題相關圖片如下:


按此查看圖片詳細資料
此主題相關圖片如下:


按此查看圖片詳細資料
吃皮的模樣:
此主題相關圖片如下:


按此查看圖片詳細資料
齡數分辨/脫皮前與脫皮後: (2013/12/13)
此主題相關圖片如下:


按此查看圖片詳細資料
這幾天,葉䗛又陸續脫皮了!也搜尋了一下齡數的判別,以 Phyllium siccifolium 種來說還滿好記的 以下編輯內容我盡力找出身邊應有的齡數來貼上/補上的@@ 其實滿怕有錯誤的~所以這就僅供參考、大概分辨啦...!(如有誤請務必糾正) (以下以 Phyllium siccifolium 母若蟲體長為主,公若蟲不太確定,但也可大至參考...體長不包含腳,僅頭~尾部) Phyllium siccifolium L1若蟲:體長約1cm,剛孵化出來身體為咖啡色,僅會吸水,待過約3天後才會開始進食(嫩葉佳),體色也會開始變綠。
此主題相關圖片如下:


按此查看圖片詳細資料
此主題相關圖片如下:


按此查看圖片詳細資料
Phyllium siccifolium L2若蟲:體長約1cm~1.5cm,體型比L1大寬一些。
此主題相關圖片如下:


按此查看圖片詳細資料
此主題相關圖片如下:


按此查看圖片詳細資料
Phyllium siccifolium L3若蟲:體長約2cm 母若蟲
此主題相關圖片如下:


按此查看圖片詳細資料
公若蟲
此主題相關圖片如下:


按此查看圖片詳細資料
Phyllium siccifolium L4若蟲:體長約2.5~3cm
此主題相關圖片如下:


按此查看圖片詳細資料
此主題相關圖片如下:


按此查看圖片詳細資料
Phyllium siccifolium L5若蟲:體長約3.5~4cm
此主題相關圖片如下:


按此查看圖片詳細資料
此主題相關圖片如下:


按此查看圖片詳細資料
(下圖為公若蟲)
此主題相關圖片如下:


按此查看圖片詳細資料
Phyllium siccifolium L6若蟲:體長約5cm
此主題相關圖片如下:


按此查看圖片詳細資料
此主題相關圖片如下:


按此查看圖片詳細資料
此主題相關圖片如下:


按此查看圖片詳細資料
Phyllium siccifolium L7若蟲:體長約6cm上下 (下圖為公若蟲)
此主題相關圖片如下:


按此查看圖片詳細資料
此主題相關圖片如下:


按此查看圖片詳細資料
(下圖為母若蟲)
此主題相關圖片如下:


按此查看圖片詳細資料
此主題相關圖片如下:


按此查看圖片詳細資料
Phyllium siccifolium L8成蟲:體長約8cm 母成蟲
此主題相關圖片如下:


按此查看圖片詳細資料
此主題相關圖片如下:


按此查看圖片詳細資料
(下圖為公成蟲,含觸鬚約8cm)
此主題相關圖片如下:


按此查看圖片詳細資料
此主題相關圖片如下:


按此查看圖片詳細資料
葉䗛脫皮前(左L5)與後(右L6) 從外觀上,脫皮前顏色一樣以較無光澤感,且身體看起來厚實飽滿 脫皮後顏色有如新葉般,身體也看起來比較薄,進食數日後身體也會稍變飽滿,但一樣具有光澤感。
此主題相關圖片如下:


按此查看圖片詳細資料
葉䗛斷腳後可在生,會在每一次脫皮後慢慢長回,當然到成蟲後大小會有些差異。
此主題相關圖片如下:


按此查看圖片詳細資料
另外這隻葉䗛的體色特別綠,所以就拍下來>< 很喜歡這種綠色~~
此主題相關圖片如下:


按此查看圖片詳細資料
搬新家: (2014/01/07) 葉䗛不斷的長大,原本的窩對牠們來說相對越來越擠... 本來想買個爬蟲用缸來養,不過有點小貴,所以就自己釘製啦! 材料&工具: 木板(條)數條、短釘子數根、門閂*2個、開合器門片*2個、紗網(或白鐵網)*5片 釘槍與釘槍釘、鋸子、捲尺、鐵鎚 大至如上圖這些東西,材料部分 木條家裡本來就有,所以扣除木條成本,其餘的小零件加一加大約一百塊錢就有(我都是挑最便宜的XD)印象最多也沒超過150吧!。
將木頭裁好釘製後,在將網子鋪上用釘槍釘住即可,網子釘前可將邊緣往內摺,避免脫線整個虛掉。 釘製過程,家裡大長輩爺爺還教我了一些輕鬆簡單的技巧 感謝爺爺的幫忙XD
目前使用起來,因為通風上算是極佳,所以比平時更常噴水保濕和補水,不然葉子沒多久就失去水分軟掉哩! 還滿滿意的,以後要拿來養其他昆蟲、爬蟲應該也沒問題。
此主題相關圖片如下:


按此查看圖片詳細資料
此主題相關圖片如下:


按此查看圖片詳細資料
此主題相關圖片如下:


按此查看圖片詳細資料
2014/01/19近況: 葉䗛接手至今也有幾個月,移至大房子後,如今也開時脫皮轉成七齡若蟲 意思就是在脫一次皮即可成蟲了!每脫一次皮,體型成長不少,真的很有成就感 而現在身邊23隻若蟲,有大有小,最小可能才三齡~四齡而已(原本24隻,其中一隻因為我的沒注意 不小心壓傷而死...) 圖中可見,芭樂葉片的水分失散,嫩葉新葉比熟葉還快嫩掉(枯掉),且吃到這齡數的若蟲似乎比較喜歡食用熟葉片,嫩葉、新葉沒什麼食用痕跡,不像小若蟲比較愛食用的樣子。 這齡數食量相對也增加了,放入新鮮葉片枝條進去,單隻七齡若蟲一天幾乎快將一整片葉子吃完,所以要給牠們稍稍的加量啦~ 保濕方面則改成一天噴兩次水。
至今觀察,前一晚到隔日凌晨兩三點前都未有脫皮動作,而早上觀看則以脫完皮,所以我猜想牠們脫皮時間大概是選擇清晨時間,此時多數植物會分泌晨露(指的是野外環境,我們所摘下枝條會不會沒觀察過),濕度也相對較高,脫皮也跟著方便和安全(不怕太乾燥而脫不起,這時間天敵也比較還沒出來活動) (以上為個人猜測,看看就好。)
此主題相關圖片如下:


按此查看圖片詳細資料
小翅芽已出現,再過一陣子即可羽化成蟲:
此主題相關圖片如下:


按此查看圖片詳細資料
此主題相關圖片如下:


按此查看圖片詳細資料
頭部近照特寫:
此主題相關圖片如下:


按此查看圖片詳細資料
此主題相關圖片如下:


按此查看圖片詳細資料
大小比較: 左邊兩隻皆為L7母若蟲,右下角為L6母若蟲,右上角為公若蟲。
此主題相關圖片如下:


按此查看圖片詳細資料
L6若蟲小小翅芽
此主題相關圖片如下:


按此查看圖片詳細資料
公若蟲:
此主題相關圖片如下:


按此查看圖片詳細資料
飼育圖:(文中熟葉片指得像這種)
此主題相關圖片如下:


按此查看圖片詳細資料
此主題相關圖片如下:


按此查看圖片詳細資料
2014/02/12近況: 經過了一段時間,公若蟲已經轉變為成蟲了。 身邊母若蟲估計至少要在一個月時間才有可能羽化成蟲 最先出來的公成蟲應該是沒機會配到母成蟲了,其他還沒出來或是更小一些的公若蟲應該是有機會能交配到...以現在身邊二十三隻數量,我想到時至少也可以湊出一、兩對吧!
原先在今年過年除夕那幾天,有五、六隻L7母若蟲突然變得很無力,不太會爬行、也不會隨風搖擺、整隻貼葉面不會用腳支撐站立,抓起來經常裝死,一點活動力都沒有... 這幾天的飼育環境狀況有幾點: 1.前一晚我突然換了別種的芭樂葉。(因為自己栽種的想讓他在多長些,不想再剪掉他的枝條) 2.這種芭樂葉可能有農藥。 3.落葉堆沒清,導致底層保濕力強,濕度太高。 關於第一點,不太確定是不是因為牠們吃不慣這另一種芭樂葉而拒食,不過聽說原則上牠們是不會挑的(有吃一點點,但過一兩天幾乎完全不吃)...。 第二點的猜測,想一想我真天真,居然敢弄農田裡的芭樂樹葉給牠,有沒有農藥不太確定,但至少我清洗過,觀察了一兩天想一想還是不對勁...趕快換回原來自己栽種的芭樂樹! 第三點,在換回來之前,有清理一下下面的落葉推和水苔,下層幾乎已經濕到積水,只把枯枝落葉清掉,水苔用水沖洗擰乾重入,不過我想這點應該是沒關係的! 我猜測一、二點是滿有可能的... 這幾天當中也看到其中一隻母葉䗛拉了一條很長的糞便,且還卡在肛門處(正常糞便為一粒一粒的),用手剝斷後,有用噴水器朝牠嘴上噴水,讓牠喝水看看。 換回原本芭樂葉後過幾天,所有無力的葉䗛也都恢復正常,真是阿密陀佛...好在辛苦沒白費。
好了!說了一堆,只是想把自己遇到狀況打出來,留給自己以後還有其他喜歡葉䗛的蟲友們參考參考,當個經驗!
最先出來的漂亮公成蟲:
此主題相關圖片如下:


按此查看圖片詳細資料
目前飼育環將所有大小的若蟲混在一起飼養(原本僅養L5以上的,現在全混養)
此主題相關圖片如下:


按此查看圖片詳細資料
很會吃...但我遇過最會吃的還是幽靈竹節蟲@@"
此主題相關圖片如下:


按此查看圖片詳細資料
公成蟲,眼睛滿萌的XD''
此主題相關圖片如下:


按此查看圖片詳細資料
此主題相關圖片如下:


按此查看圖片詳細資料
此主題相關圖片如下:


按此查看圖片詳細資料
最先出來的這隻,因為在轉L7時,皮卡住,有一邊觸鬚斷一小節,那時前腳爬行也不太會鉤,當時有點擔心這隻,好在順利出來,前腳也正常了!
此主題相關圖片如下:


按此查看圖片詳細資料
仔細看牠們處鬚還有絨毛呢!
此主題相關圖片如下:


按此查看圖片詳細資料
牠們會飛嗎?公蟲會,母蟲我就不知了...在這次拍攝的過程,公蟲就有在網箱內飛了幾次,飛像檯燈方向(有趨光性?!我想應該沒有,只是碰巧吧)
此主題相關圖片如下:


按此查看圖片詳細資料
這張像不像牠拿著相機自拍XD?
此主題相關圖片如下:


按此查看圖片詳細資料
在來就是另一隻L5母若蟲,這隻母若蟲是整批裡面顏色比較淡、偏黃或偏青綠的 希望不是自己錯覺,也希望這隻在下一次脫皮、下下次脫皮、一直到成蟲間,顏色能繼續變黃,像枯葉般...
此主題相關圖片如下:


按此查看圖片詳細資料
此主題相關圖片如下:


按此查看圖片詳細資料
(圖中顯現比較沒像實體般那樣...加減看@@") 整批,最喜歡玩這種躲貓貓,有閒得人也可以算算圖中有幾隻...哈哈XD!
此主題相關圖片如下:


按此查看圖片詳細資料
2014/02/27近況:
此主題相關圖片如下:


按此查看圖片詳細資料
至 這批 葉䗛 入手(2013/11/03)L1-3若蟲到現在 於12/23日,一部份轉L4~6,2014/02/初 出現兩隻了公成蟲,02/19號一隻母成蟲出現,02/25號又一隻母成蟲羽化。 飼育至今約3個月多 快四個月,而當初入手的小小若蟲(現在約L3~4)我想大約還要在兩、三個月左右才會羽化成蟲,所以從L1到成蟲我想約要五、六個月吧!許多前輩說溫度也是會影響牠們成長時間,我飼育時間也剛好在冬天,寒流還不少,是否真有影響成長時間也不太確定,不過至少我知道溫度低是不至於讓牠們冷死...(這一陣子寒流有低溫到10℃,甚至更低一些些,我也沒特別給牠們加溫保溫。)
先前葉䗛都沒養到母成蟲...現在終於親手育成勒XD 其實葉䗛母成蟲看起來就像L6若蟲放大版,在加上一件 葉披風...就這樣"
此主題相關圖片如下:


按此查看圖片詳細資料
身上的葉披風有些個體比較大,有些比較小... 意思就是有些蓋住身體部分比較多,有些比較小一點啦... 至脫皮後過幾天,身上的葉脈紋路也會越來越明顯,有像真的葉片樣子。
此主題相關圖片如下:


按此查看圖片詳細資料
此主題相關圖片如下:


按此查看圖片詳細資料
翻開後就像這樣,其實仔細看裡面有一對極小,像芽般的透明小翅膀,這我就沒拍了...因為牠一直動,也怕弄傷牠。(會不會是翅膀退化呢? 我猜啦!) 母成蟲不像公成蟲有那樣的翅膀,所以不會飛@@"
此主題相關圖片如下:


按此查看圖片詳細資料
成對照:
此主題相關圖片如下:


按此查看圖片詳細資料
葉脈的紋路...
此主題相關圖片如下:


按此查看圖片詳細資料
整批葉䗛,俗話說「數大 便是美。」雖然還稱不上大,不過一樣很美...哈哈
此主題相關圖片如下:


按此查看圖片詳細資料
此主題相關圖片如下:


按此查看圖片詳細資料
此主題相關圖片如下:


按此查看圖片詳細資料
打了不少,有些重點實在不知道有沒有打到,所以在整理一下最常詢問的問題: 1.葉䗛可以吃什麼? Ans.在飼育上主要餵食番石榴葉(芭樂葉)為食,少部分個體也是會接受龍眼葉、芒果葉、蓮霧葉、玫瑰葉等等。
2.葉子品種有差嗎? 需要洗過嗎? Ans.番石榴有不少品種,理論上從小給牠食用似乎是沒差,但長大後是否會因跟小時候所吃的不同品種而拒食這就不確定了(這我有遇過,但無法確切斷定),若擔心的話其實也不用太顧慮,固定給牠一種,多種幾顆備用就好了。不論至外何處取來,建議最好清洗一下,尤其是附近有農田區域的,避免有農藥殘留,清洗可用牙刷輕刷一下葉面及葉背,有些葉上會有粉介殼蟲等植物害蟲,雖然對葉䗛無影響,但是此類害蟲會吸食植株枝條葉片中水養分,可能導致剪下給予食用的枝條葉片水分散失更快,更易枯掉。
3.葉䗛如何飼育? Ans.葉䗛飼育非常簡單,僅要提供適當的空間及通風,一天噴個一~兩次水保濕即可。夏天可能要更勤勞噴水,且更注意通風比較好。空間上我會比較喜歡以寬為主,我喜歡將剪下的枝條分成兩~三份去插在水瓶中,這樣也可以讓葉䗛們較分散、不擁擠搶食,且感覺這樣也比較省葉片(就如我的飼育圖)。葉子的選擇除了L1~2、3的小若蟲比較偏食新葉、嫩葉,其餘其實沒什麼差,新葉與嫩葉、嫩芽也比熟葉更快軟掉。
4.葉䗛約飼育多久才會成蟲? Ans.從L1~成蟲大約需要5個月左右。
5.葉䗛成蟲何時才會產卵?卵要如何孵?要孵多久? Ans.葉䗛成蟲後,約過2~3周時間才會開始產卵,牠們屬於孤雌生殖,不用交配即可自己產卵繁殖,不過後代幾乎皆會是母蟲,而有交配過的有性生殖卵後代即會有公有母。孵蛋方式可用衛生紙或是水苔的小屑碎壓實,卵放在表層並定期噴水保濕即可,溫度也會影響卵期,目前聽說最快也得要三個月,而通常約在六個月時間(以葉䗛P.s.種來說)。
6.葉䗛腳斷掉會在長嗎? Ans.會的,會在每一次脫皮逐漸長出,但會明顯比原本的腳小一號,如果在快要成蟲的前幾齡斷腳,那可就不明顯了,而成蟲斷腳是不會再長出來的。
目前想得到的就這樣,其餘想到再補充...
繼續下一樓.
| 愛昆蟲的阿儒 |
發表於: 2014/03/26 12:02:47pm
|
[LIKE=kh;oba72367r;就愛兜鍬;艾曲批;阿布拉;frenjhi;azsx369;chiang3138;pps33;阿春;MRK;飛行荷蘭人;hogan0508;=LIKE][這篇文章最後由愛昆蟲的阿儒在 2014/03/26 07:36:44pm 第 3 次編輯]
葉䗛的蛻皮記錄:
此主題相關圖片如下:


按此查看圖片詳細資料
原本想繼續接著寫,但實在跑太慢...所以就在開一樓了! 不知道有沒有蟲友們目睹他們全成的脫皮?為了這畫面,可是爆著肝在執行吶...!好久沒有如此神經 在2014/02/25下午整理他們的時候,發現這一隻葉䗛體色暗淡無光澤,且看的出來像是變胖了般,身體厚厚的飽滿壯,推測這隻就快脫皮了!但是這是第一次決定要拍攝這過程,也是第一次要觀看這過程,根本沒經驗 不像可以對甲蟲那樣的猜測說大約在幾小時時間或幾點會開始,所以一切只能瞎等囉!
腳架相機全都弄好了,原本也想弄燈光,但會影響牠所以後來檯燈就又收掉了,準備好空等也感覺浪費時間,所以就跑去弄甲蟲哩~
這是脫皮前的模樣,由於打光關係,所以比較亮。
此主題相關圖片如下:


按此查看圖片詳細資料
燈光關掉後,實體的顏色和模樣就像這樣
此主題相關圖片如下:


按此查看圖片詳細資料
此主題相關圖片如下:


按此查看圖片詳細資料
等待的過程中,其實也滿想放棄收拾去睡覺...因為也不知道是否真的會脫皮... 在02/26的凌晨01:00分 邊用電腦邊關注牠,始終無動靜,所以電腦關注的時間變長...等到再回神一看,已經開始脫皮了! 就如下圖畫面,當時就在這狀態。接著請賞圖吧! (Ps.由於圖多,且這種畫面大概都是滾輪滑過,所以我就把他縮成幾張一組,也減少上傳編輯時間。圖順序為左上角第一張、右上角第二張、左下角第三張、右下角第四張。) 01:06分開始拍攝
此主題相關圖片如下:


按此查看圖片詳細資料
此主題相關圖片如下:


按此查看圖片詳細資料
此主題相關圖片如下:


按此查看圖片詳細資料
凌晨01:17分 腳的部分全出來
此主題相關圖片如下:


按此查看圖片詳細資料
此主題相關圖片如下:


按此查看圖片詳細資料
此主題相關圖片如下:


按此查看圖片詳細資料
看得到內翅嗎?非常小對的透明翅膀
此主題相關圖片如下:


按此查看圖片詳細資料
到這其實僵持了滿久的,後來還是伸出手輕輕的將他扶起來,讓牠抓到上面的紗網,接著在努力下去。
此主題相關圖片如下:


按此查看圖片詳細資料
翅膀特寫一下,皺縮的模樣其實有點像大腦...哈哈!
此主題相關圖片如下:


按此查看圖片詳細資料
身體終於出來了,到這裡已經01:44分。即將開始展翅~
此主題相關圖片如下:


按此查看圖片詳細資料
此主題相關圖片如下:


按此查看圖片詳細資料
此主題相關圖片如下:


按此查看圖片詳細資料
此主題相關圖片如下:


按此查看圖片詳細資料
此主題相關圖片如下:


按此查看圖片詳細資料
此時此刻的我,已經真得頭昏昏又愛睏,所以就拍到這了~@@" 凌晨02:28分,從頭到尾牠們脫皮也要花1個多小時時間,還頗久的...
此主題相關圖片如下:


按此查看圖片詳細資料
接著,02/28就變成左邊那隻的模樣囉!
此主題相關圖片如下:


按此查看圖片詳細資料
這次發現牠們脫皮是在凌晨時間,跟之前猜測的清晨時間有段小距離,不過我想也是有在清晨時間的吧! 後來也遇到了在下午傍晚時間脫皮羽化的個體...或許都會在這兩階段時間也或許根本沒時間限制@@?!
至今(2014/03/26)也不知不覺羽化出一堆,成蟲食量方面也增加不少,所以給予得葉片要增加囉... 還有第一隻出來的也有開始下蛋了。
然後...這是一篇自己飼養過程所遇過的所有經驗以及自己所知的一些知識分享,如有不妥或錯誤的地方還務必告知指正,感謝!
大致上這樣 終於 - 完。 3Q賞文 |
頂部 |
| 就愛兜鍬 |
發表於: 2014/03/26 12:59:02pm
|
哇 好久沒看到論壇上如此圖文並茂的飼育記錄文 認真又用心的一篇 很值得參考 感謝分享 |
頂部 |
| 穎 |
發表於: 2014/03/26 02:16:30pm
|
正要開始挑戰PG, 謝謝阿儒大的分享, 文章內有許多可以應用的資訊,
非常感謝!! |
頂部 |
| ulcer |
發表於: 2014/03/26 02:29:28pm
|
寫的很好, 養的也很好. 不過鋪底建議使用不要的布或踏墊, 裁成適當大小, 浸水擰乾鋪平. 主要目的: 1. 保持濕度 2. 避免積水黏住若蟲 3. 撿蛋方便 |
頂部 |
| kuwata |
發表於: 2014/03/26 02:38:46pm
|
| 非常詳盡與完整的飼育過程記錄..適合新手迅速掌握飼育竅門!! |
頂部 |
| y368966 |
發表於: 2014/03/26 03:12:52pm
|
我幾年前 養過一次
不過全軍覆沒 哈 哈 哈 ~
此主題相關圖片如下:


按此查看圖片詳細資料
|
頂部 |
| 宇 |
發表於: 2014/03/26 04:32:25pm
|
好詳盡, 圖文並茂! 看了會有想養的衝動! |
頂部 |
| 艾曲批 |
發表於: 2014/03/26 04:39:43pm
|
本篇入選本版精華,拍拍手~
艾的小提醒: 葉䗛沒有蛹期,屬於不完全變態昆蟲(漸進變態), 所以應該不叫做"羽化",通常會用"蛻化"或"蛻皮"。
|
頂部 |
| 愛昆蟲的阿儒 |
發表於: 2014/03/26 08:54:13pm
|
[LIKE=cortex;oba72367r;宇;=LIKE]
下面引用由就愛兜鍬在 2014/03/26 12:59:02pm 發表的內容: 哇 好久沒看到論壇上如此圖文並茂的飼育記錄文 認真又用心的一篇 很值得參考 ...
|
|
就愛兜鍬您好, 這篇是從部落格每篇文章中,複製貼上出來地  篩選掉不少照片,過程上也發現不少錯字 自己也滿開心能編出這種文章能給大家看XD 感謝您的賞文及留言^^
下面引用由穎在 2014/03/26 02:16:30pm 發表的內容: 正要開始挑戰PG, 謝謝阿儒大的分享, 文章內有許多可以應用的資訊,
非常感謝!!
|
|
穎哥您好, 巨人葉䗛也是我一直滿想飼養的品種,這陣子剛好有蟲友在販賣 可惜之後會較忙些,暫時不敢在進其他蟲玩了 >_< 等之後看狀況或到時您也有成功飼育繁殖再來跟您交流囉XD! 感謝賞文留言^^
下面引用由ulcer在 2014/03/26 02:29:28pm 發表的內容: 寫的很好, 養的也很好. 不過鋪底建議使用不要的布或踏墊, 裁成適當大小, 浸水擰乾鋪平. 主要目的: 1. 保持濕度 2. 避免積水黏住若蟲 3. 撿蛋方便
|
|
ulcer您好, 感謝您的建議,這陣子開始有下蛋,也因為要撿蛋方便,所以將水苔撤掉囉! 晚點有空再來弄~ 謝謝您^^
下面引用由kuwata在 2014/03/26 02:38:46pm 發表的內容: 非常詳盡與完整的飼育過程記錄..適合新手迅速掌握飼育竅門!!
|
|
李大哥您好~ 有機會您也可以玩玩看哦! 謝謝您賞文留言:P
下面引用由y368966在 2014/03/26 03:12:52pm 發表的內容: 我幾年前 養過一次 不過全軍覆沒 哈 哈 哈 ~
|
|
歪三十幾萬哥, 這張被您加了影子感覺真棒!! 養牠們其實不難哦! 您要對牠們施加愛,就像您對側室頭頭那樣  哈哈 
下面引用由宇在 2014/03/26 04:32:25pm 發表的內容: 好詳盡, 圖文並茂! 看了會有想養的衝動!
|
|
宇哥您好, 我了解這種看了有想養的衝動 因為我也經常如此XD 這時就得和自己的意志力抗鬥囉! 哈哈! 感謝您賞文留言^^
下面引用由艾曲批在 2014/03/26 04:39:43pm 發表的內容: 本篇入選本版精華,拍拍手~
艾的小提醒: 葉䗛沒有蛹期,屬於不完全變態昆蟲(漸進變態), 所以應該不叫做"羽化",通常會用"蛻化"或"蛻皮"。
|
|
艾曲批您好, 感謝您的肯定^^ 一直以為不論若蟲或幼蟲轉變成體或成蟲都稱羽化 已經更改過來囉! 謝謝您~ |
頂部 |
| 愛昆蟲的阿儒 |
發表於: 2014/05/05 02:12:02pm
|
[LIKE=小廷;=LIKE]拍謝~把文章推上來 補充一些資訊:
葉䗛成體上我想牠門活動空間要寬大點好... 不然會遇到因擁擠而扯斷腳、食物不夠還吃自己同伴的葉背.... 超夭壽的Q_Q" 吃葉背很誇張,不過也不意外,因為之前就看過蟲友發生一樣的問題了... 在來牠們身體上有些小痕跡,像是被抓到一樣,雖然牠們腳不像甲蟲一樣尖銳,不過我覺得若想保留完整點,還是注意一下空間好。
從這篇發到現在,也已經有些葉䗛壽命已盡,公蟲比較早,母蟲也會越來越虛慢慢的跟葉子一樣掉落地面一動也不動 蛋也生了一堆...先來看一下這批的成蟲顏色,覺得自己很幸運,雖然沒有整個像枯葉一樣的個體,不過能出這麼各式各樣的斑紋感覺就很不錯了!目前也僅剩兩隻還是若蟲尚未成蟲而已。
此主題相關圖片如下:


按此查看圖片詳細資料
此主題相關圖片如下:


按此查看圖片詳細資料
在來是卵的問題,有不少蟲友問我如何孵卵 介質上用衛生紙或水苔壓實都可以,只要保濕又通風好 卵期實在不一定,有些早出、有些較晚一些,通常天氣熱溫度高較快,通常至少要等個3~6個月都有。 因記得有蟲友的卵發霉還是有孵出若蟲,所以外表卵發霉似乎還好,可以繼續孵孵看...(我還沒遇過,所以不敢跟您保證一定會出) 孵卵的過程,比較討厭的大概是螨和跳蟲這些雜蟲吧! 這些雜蟲似乎會去吸食蛋內,尤其是有螨停留在上面的蛋,通常會變得脆弱壞掉,用夾子夾滿容易破且流出黃色黏黏的液體,如果遇到這樣問題,建議清掉受害的卵,換新介質。
順利孵出的蛋裡面是空的:
此主題相關圖片如下:


按此查看圖片詳細資料
另外像這種蛋頭蛋身分離,蛋內就呈現這模樣,像是個果凍在內 這種蛋似乎就沒辦法孵出小若蟲了!
此主題相關圖片如下:


按此查看圖片詳細資料
交配的模樣,多數時間也會看到公蟲抱母蟲:
此主題相關圖片如下:


按此查看圖片詳細資料
此主題相關圖片如下:


按此查看圖片詳細資料
此主題相關圖片如下:


按此查看圖片詳細資料
每天都有蛋撿:
此主題相關圖片如下:


按此查看圖片詳細資料
這葉䗛蛋也很怪@@出了白色(淡黃)的蛋 個人猜想是未發育熟的蛋,不過還是孵孵看
此主題相關圖片如下:


按此查看圖片詳細資料
吸水與未吸水:
此主題相關圖片如下:


按此查看圖片詳細資料
此主題相關圖片如下:


按此查看圖片詳細資料
標本製作上,剖開清掉體內的東東後,我想要保留顏色最好的方法應該是放冰箱保冷除濕(冰箱冷氣出風口除濕效果比較不錯,有冷氣房溫控的蟲友應該也都有經驗土容易乾(較通風的容器,乾的特別快)) 但是標本放冰箱除濕時間比較沒那麼快,如用烘碗機烘乾我想一次性烘乾會比較好,有一隻試作的母蟲沒一次性烘乾所以變色,不過公蟲倒是無問題。(以前也曾用燈泡直接靠近加熱烘乾螳螂,後來也無變色。)
大致上我的經驗就這樣∼謝謝! |
頂部 |
| 穎 |
發表於: 2014/05/05 11:39:22pm
|
下面引用由愛昆蟲的阿儒在 2014/05/05 02:12:02pm 發表的內容: 拍謝~把文章推上來 補充一些資訊: 葉䗛成體上我想牠門活動空間要寬大點好... 不然會遇到因擁擠而扯斷腳、食物不夠還吃自己同伴的葉背.... 超夭壽的Q_Q" ...
|
|
其實吃翅膀還好, 更誇張的是連腹部邊緣都會吃, 以前飼養時有遇過這種狀況, 但沒拍照蠻可惜的
|
頂部 |
| MRK |
發表於: 2014/05/06 01:41:50am
|
阿儒 真的是非常用心的一篇好文章 恭喜入選本版精華 每次看到葉䗛都覺得很特別 長得跟葉子一樣 眼睛時常被騙倒 下次若有飼育 就可以搜尋你的文章做為新手入門 謝謝你囉 |
頂部 |
| candy8 |
發表於: 2014/05/06 01:12:35pm
|
補充一下個人飼養經驗:葉脩卵的孵化似乎跟溫度與濕度有關,春天開始會大量孵化:
此主題相關圖片如下:


按此查看圖片詳細資料
|
頂部 |
| 愛昆蟲的阿儒 |
發表於: 2014/05/06 10:51:13pm
|
[LIKE=MRK;=LIKE]
下面引用由MRK在 2014/05/06 01:41:50am 發表的內容: 阿儒 真的是非常用心的一篇好文章 恭喜入選本版精華 每次看到葉䗛都覺得很特別 長得跟葉子一樣 眼睛時常被騙倒 下次若有飼育 就可以搜尋你的文章做為新手入門 謝謝你囉
|
|
小尚哥~安啊! 需要卵的話跟我說一聲唷! 現在蛋很多,不怕您拿多,只怕你全梭~~哈哈XD! 葉䗛養起來很簡單,有閒可以當作甲蟲之外的樂趣 換換口味這樣~ 感謝您賞文啊∼
下面引用由candy8在 2014/05/06 01:12:35pm 發表的內容: 補充一下個人飼養經驗:葉脩卵的孵化似乎跟溫度與濕度有關,春天開始會大量孵化: 此主題相關圖片如下:
|
|
您好, 溫度是真的影響滿大的 所以有蟲友還會特地加溫縮短時間,也聽一位以前也玩過的朋友說真的有效 感謝您經驗分享 |
頂部 |
| Chieh |
發表於: 2020/04/18 09:02:55pm
|
| 請問您現在是否還有在飼養葉䗛呢? |
頂部 |
|
|