|
|
|
台灣蟲之二:擬食蝸步行蟲
(這篇文章已經被閱讀了 3928 次) 時間:2008/12/02 02:57:13pm 來源:Rosalia
[這篇文章最後由Rosalia在 2008/12/02 03:08pm 第 1 次編輯]
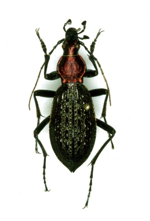
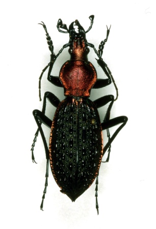
在這裡貼擬食蝸,感覺有點班門弄斧,因為 PSK 曾經對台灣的擬食蝸投入很多心血研究,我大概也只有一知半解吧。前兩年去東京科博館時,順便拍了幾隻正模式標本回來,因為這是保育類,並不鼓勵採集與飼養以避免觸法。 擬食蝸步行蟲的分布很廣,因地理分布關係各地區產的擬食蝸步行蟲外部形態亦有差異,因為這些差異而被分為數個亞種。至於有哪些亞種不知能否請 PSK 兄說明一下。我在東京看到三個亞種的正模式標本,在此分享給各位。
原名亞種: 採集自南湖大山的標本,由鹿野忠雄所命名,雖然標本已經超過七十年了,但是保存狀態還是非常良好。
此主題相關圖片如下:


按此查看圖片詳細資料
此主題相關圖片如下:


按此查看圖片詳細資料
中台灣亞種: 這是由黑澤良彥博士所命名的,採集標籤中的 "Mt. Sylvia" 不知道是哪一座山,不過個人猜測是在梨山附近吧!
此主題相關圖片如下:


按此查看圖片詳細資料
此主題相關圖片如下:


按此查看圖片詳細資料
拉拉山亞種: 此亞種亦是由黑澤良彥博士及Kudo (不知道是誰?) 所共同命名。
此主題相關圖片如下:


按此查看圖片詳細資料
此主題相關圖片如下:


按此查看圖片詳細資料
最後來隻馬祖的擬食蝸 Coptolarbus ignimetalla (Bates, 1888), 在大陸稱為「火緣步甲」。
此主題相關圖片如下:


按此查看圖片詳細資料
| Yang |
發表於: 2008/12/02 03:02:27pm
|
[這篇文章最後由Yang在 2008/12/02 03:04pm 第 1 次編輯]
下面引用由Rosalia在 2008/12/02 02:57pm 發表的內容: 採集標籤中的 ”Mt. Sylvia” 不知道是哪一座山
|
|
雪山山脈主峰「雪山」 又名「興隆山」 過去日人稱作「次高山」 |
頂部 |
| Rosalia |
發表於: 2008/12/02 03:10:05pm
|
下面引用由Yang在 2008/12/02 03:02pm 發表的內容: 雪山山脈主峰「雪山」 又名「興隆山」 過去日人稱作「次高山」
|
|
感謝楊兄的說明 不過雪山 4000 呎的地方 應該是武陵農場或環山一帶吧 |
頂部 |
| 729790 |
發表於: 2008/12/02 03:49:35pm
|
周老師: 有空多跟東哥去爬百岳吧! 台灣百岳第一高峰 玉山: 2003年內政部土地測量局以水準測量、重力測量、GPS衛星定位測量等技術完成玉山正高測量,測出東北亞最高峰玉山主峰高度為3951.798±0.072公尺。其中±0.072公尺表示測量成果的精度,也就是在95%信心區間內,測量成果誤差不超過0.144公尺。 早期玉山一度被誤認為4145公尺.
雪山主峰: 雪山主峰與副峰群分佈在雪山山脈的中段,約在台中縣與苗栗縣的縣界上,地處雪霸國家公園境內。 雪山主峰為頂點,共有六條稜脈匯聚.
此主題相關圖片如下:


按此查看圖片詳細資料
造型很漂亮的廁所,裡面有很大隻的蒼蠅喔!
此主題相關圖片如下:


按此查看圖片詳細資料
黑深林裡的倒木.
此主題相關圖片如下:


按此查看圖片詳細資料
雪山圈谷
此主題相關圖片如下:


按此查看圖片詳細資料
|
頂部 |
| Rosalia |
發表於: 2008/12/02 05:24:57pm
|
[這篇文章最後由Rosalia在 2008/12/03 08:53am 第 1 次編輯]
下面引用由729790在 2008/12/02 03:49pm 發表的內容: 周老師: 有空多跟東哥去爬百岳吧! 台灣百岳第一高峰 玉山: 2003年內政部土地測量局以水準測量、重力測量、GPS衛星定位測量等技術完成玉山正高測量,測出東北亞最高峰玉山主峰高度為3951.798±0.072公尺。其中±0 ...
|
|
感謝東哥的熱情邀約 百岳我好像沒半岳吧 如果要爬百岳時間上好像不好喬 百岳中應該還有些奇特的天牛還沒有被發現吧 看來我得先減肥才能跟東哥一起去爬百岳了
我昨晚拿天牛到你們公司給小豪 東哥昨天翹班喔哦 |
頂部 |
| psk |
發表於: 2008/12/03 00:18:07am
|
啊!!!被學長大人點名了.......
目前有效的亞種共有七個 不過比較沒問題的為四個
學長等我一下 我把資料整理一下 |
頂部 |
| Rosalia |
發表於: 2008/12/03 08:46:05am
|
下面引用由psk在 2008/12/03 00:18am 發表的內容: 啊!!!被學長大人點名了....... 目前有效的亞種共有七個 不過比較沒問題的為四個 學長等我一下 我把資料整理一下
|
|
感謝 psk 兄 期待您為大家解惑 |
頂部 |
| godfisher |
發表於: 2008/12/03 02:23:05pm
|
我家附近也是產地喔!! 海拔不到50m吧!!
每年總在車庫發現幾隻
嗯 雖然堅守保育類不得採集騷擾 不過怕被車輪壓死 還是請"牠"到花園去!! |
頂部 |
| 729790 |
發表於: 2008/12/03 03:26:14pm
|
下面引用由Rosalia在 2008/12/02 05:24pm 發表的內容: 感謝東哥的熱情邀約 百岳我好像沒半岳吧 如果要爬百岳時間上好像不好喬 百岳中應該還有些奇特的天牛還沒有被發現吧 ... 我昨晚拿天牛到你們公司給小豪 東哥昨天翹班喔哦
|
|
呵呵! 老師在高山上發掘新種天牛才刺激啊!
我9月份開始就到朋友公司接案,沒在小豪公司服務了! 唉!老師不公平喔!我也要天牛.
期待PSK 兄說明擬食蝸步行蟲外部形態亦有差異,及亞種的差異.
|
頂部 |
|
|