|
|
|
新物種 - 華麗長腳花金龜
(這篇文章已經被閱讀了 6676 次) 時間:2008/08/08 11:09:05am 來源:Rosalia
[這篇文章最後由Rosalia在 2008/08/08 11:14am 第 2 次編輯]
資料來源 Krajcik, M. and W. I. Chou. 2008. New species of Epitrichius Tagawa, 1941 from Taiwan (Coleoptera: Scarabaeidae, Trichiinae). Animma-X 21: (in press).
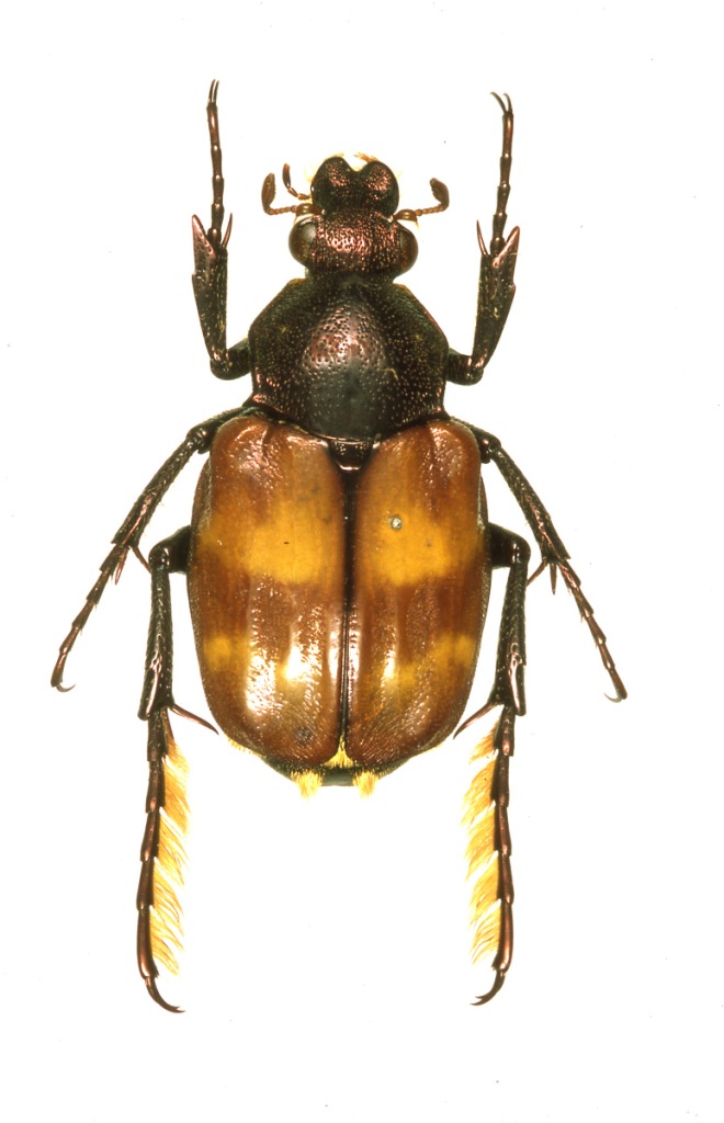
Epitrichius magnificus Krajcik et Chou, 2008 華麗長腳花金龜 這是今年 8 月份才命名的新物種 最初是 2005 年屏科大植保系學生許國聖在屏東縣山區採獲 三年來, 筆者在屏東縣及台東縣山區共採或 6 隻標本 加上一隻飼育的個體 經過與亞洲地區所有近似種比對之後 確認是個新物種 其後足濃密的黃毛使得本物種看起來醒目而特別 數量非常稀少, 具訪花的習性 目前確認訪花的植物包括 1. 樟科之 Neolitsea sp. 新木薑子屬 2. 虎耳草科之 Schizophragma integrifolium 圓葉鑽地風 3. 虎耳草科之 Pileostegia viburnoides 青棉花
圖為在新木薑子上訪花的華麗長腳花金龜
此主題相關圖片如下:


按此查看圖片詳細資料
雄蟲正面
此主題相關圖片如下:


按此查看圖片詳細資料
雄蟲腹面, 具明顯的毛
此主題相關圖片如下:


按此查看圖片詳細資料
雌蟲正面, 前足脛節寬大
此主題相關圖片如下:


按此查看圖片詳細資料
雌蟲腹面, 毛較稀疏
此主題相關圖片如下:


按此查看圖片詳細資料
| dada |
發表於: 2008/08/08 11:35:51am
|
美麗的台灣生物....
台灣加油!! |
頂部 |
| BP |
發表於: 2008/08/08 12:28:11pm
|
此主題相關圖片如下:


按此查看圖片詳細資料
上面的屁毛龜是屏東的,這隻是台東產的母屁毛龜 |
頂部 |
| eric71903 |
發表於: 2008/08/08 12:36:45pm
|
各位蟲友們... 有沒有周老大都不PO天牛...都PO金龜的八卦?! 周老大~人家要看你PO天牛拉~~~<滾> |
頂部 |
| 德兄 |
發表於: 2008/08/08 01:15:54pm
|
膜拜~ 周神 教授太強啦 不愧是周老大 |
頂部 |
| 阿樣 |
發表於: 2008/08/08 01:28:32pm
|
周大哥恭喜你 原來找不到你吃羊肉爐就是在忙這個 打好幾次電話都不接
恭喜您...辛苦了^^ |
頂部 |
| small豪 |
發表於: 2008/08/08 02:37:57pm
|
這....這要開過"裁縫機"的人才抓的到 ......
我們沒開過...只能乾瞪眼.... 
|
頂部 |
| Hsu |
發表於: 2008/08/08 06:17:08pm
|
| 原來最早是OV發現的...... 。 |
頂部 |
| 黑米 |
發表於: 2008/08/08 06:31:46pm
|
其實同年papilio也一樣有採到這隻龜 還早我採集一個禮拜的說 只是當時我們都還不是很肯定這是個新種...... |
頂部 |
| 楓葉物語 |
發表於: 2008/08/08 07:08:14pm
|
哇~!!這隻蟲長的好特別好漂亮喔~!!>< 腳上還有黃黃的毛(是腿毛嗎= =) 身體還閃繕發亮ㄝ~^^ 漂亮~!! |
頂部 |
| 雲頂 |
發表於: 2008/08/08 10:16:45pm
|
牠的屁股那兩撮毛是每隻都有嗎 好特別喔 腳上跟腹部的毛都很漂亮 |
頂部 |
| Rosalia |
發表於: 2008/08/08 10:56:20pm
|
下面引用由eric71903在 2008/08/08 12:36pm 發表的內容: 各位蟲友們... 有沒有周老大都不PO天牛...都PO金龜的八卦?! 周老大~人家要看你PO天牛拉~~~<滾>
|
|
阿賢啊 人家也是有在寫天牛啊 只是這篇先確定要刊登出來了 所以跟大家分享一下了 天牛也有很勁爆的喔 當一大堆人在追逐小老虎時 反而忘記有更多充滿魅力的種類就在我們的周遭 只是正在進行中的研究不便多說 反正總有一天會讓大家看到的 台灣的物種極具吸引力是無庸置疑的 希望大家一頭熱的追逐兜鍬的 "數量" 及 "大小" 之餘 能撥出一點時間回頭看看我們周遭的昆蟲 處處充滿驚喜 每年總是會有一大票人 在固定的季節追逐固定的蟲種 我想奉勸的是 不要過度的沉迷在 "數量" 以及 "大小" 的追逐中 這樣並不是很健康 這樣可能因為沉迷在欣賞一棵樹時 而忽略了一整片森林的存在 偶爾也停一停盲目追逐的腳步 抬頭看一看美麗的天空吧 |
頂部 |
| v120121122v |
發表於: 2008/08/09 00:09:38am
|
今天一大早就去買 蘋果日報,一睹牠的廬山真面目,真是漂亮 周兄恭喜您又發表新種,感謝您的分享~辛苦了~ |
頂部 |
| KIMURA |
發表於: 2008/08/09 00:29:20am
|
下面引用由Rosalia在 2008/08/08 10:56pm 發表的內容: 不要過度的沉迷在 "數量" 以及 "大小" 的追逐中 這樣並不是很健康 這樣可能因為沉迷在欣賞一棵樹時 而忽略了一整片森林的存在 ...
|
|
老大就是這句話啦~ 雜蟲的樂趣是無限大的
什麼時候有空再下來幫忙看看我們那些不知道誰是誰的雜蟲啊?
|
頂部 |
| 729790 |
發表於: 2008/08/09 02:40:54am
|
[這篇文章最後由729790在 2008/08/09 03:41am 第 1 次編輯]
賞圖啦!周老師 希望8月份在[ANIMMA-X]捷克的國際甲蟲學術期刊發表台灣華麗長腳花金龜,揚名國際,下次我爬台灣百岳時我會停下腳步仰望美麗的天空,看看海拔三千多公尺上會不會有未發表的新物種往我臉上貼,哈 |
頂部 |
| 王台南 |
發表於: 2008/08/09 10:00:35am
|
下面引用由small豪在 2008/08/08 02:37pm 發表的內容: 這....這要開過"裁縫機"的人才抓的到 ...... 我們沒開過...只能乾瞪眼....
|
|
他還有另一神功
閉著眼睛騎車!!
小朋友不要學他喔!代價是要在身上加拉鏈的! |
頂部 |
| tzengchy |
發表於: 2008/08/09 02:27:35pm
|
好美的花金龜 又開始了想到處走走拍拍的衝動了~
|
頂部 |
| 黑米 |
發表於: 2008/08/09 03:48:48pm
|
下面引用由王台南在 2008/08/09 10:00am 發表的內容: 他還有另一神功 閉著眼睛騎車!! 小朋友不要學他喔!代價是要在身上加拉鏈的!
|
|
你引用錯誤喔... 裁縫機不是我開的是周大開的 你忘了我不用當兵嗎??哈哈 |
頂部 |
| butterfly |
發表於: 2008/08/09 04:06:37pm
|
[這篇文章最後由butterfly在 2008/08/09 04:09pm 第 1 次編輯]
這一篇報導我也有看到
說到裁縫機..............周老大可以一邊騎車 一邊看到正在樹梢上飛的小小蟲 難道那也是開裁縫機練出來的嗎??
話說有人在林道上騎車飛馳 然後突然煞車,指著旁邊的樹說............蒼藍蛇紋............. |
頂部 |
| Rosalia |
發表於: 2008/08/11 12:16:25pm
|
下面引用由KIMURA在 2008/08/09 00:29am 發表的內容: 老大就是這句話啦~ 雜蟲的樂趣是無限大的 什麼時候有空再下來幫忙看看我們那些不知道誰是誰的雜蟲啊?
|
|
凱兄好久不見 台灣的昆蟲真的有無限的樂趣 如果跳脫盲目追逐兜鍬的迷思 一定會別有一番成就感的 我看等十月中以後才有空去打擾你們了 |
頂部 |
| 動力裝置 |
發表於: 2008/09/24 02:00:47am
|
這篇竟被我漏掉了 一個多月沒上網果然錯過很多好文 恭喜周老大 明年度應該會有更多的東西發表吧 |
頂部 |
|
|