|
|
|
台灣金龜的新成員 (已經更新圖文)
(這篇文章已經被閱讀了 6809 次) 時間:2008/03/25 05:02:42pm 來源:Rosalia
[這篇文章最後由Rosalia在 2008/08/11 11:59am 第 13 次編輯]
資料來源
Kobayashi, H. and W. I. Chou. 2008. Description of a new genus of Anomalini and two new species of Hoplini and Melolonthini from Taiwan, with two new records of scarabaeid beetles (Coleoptera, Scarabaeidae). Kagone, 9: 69-76.
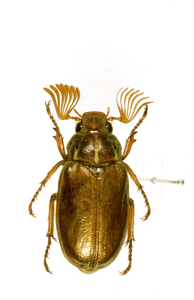
今年台灣金龜子多了幾隻新成員 Choumala choui Kobayashi, 2008 周氏金龜 這不但是新種, 而且也是新屬 棲息在海岸環境
此主題相關圖片如下:


按此查看圖片詳細資料
Anomala semicastanea Fairmaire, 1888 紅翅條金龜 這是台灣新記錄的種類, 只發現於東部山區 雄蟲
此主題相關圖片如下:


按此查看圖片詳細資料
雌蟲
此主題相關圖片如下:


按此查看圖片詳細資料
Hoplia taipeiensis Kobayashi et Chou, 2008 台北長腳金龜 產於北部低山區, 具訪花的習性, 斑紋變化大
此主題相關圖片如下:


按此查看圖片詳細資料
此主題相關圖片如下:


按此查看圖片詳細資料
Polyphylla (Grandia) parva Kobayahsi et Chou, 2008 微白條金龜 這種近似於 P. (G.) minor Nomura, 1977 姬白條金龜, 但體型更小, 為台灣產同屬金龜中體型最小的種類, 斑紋極不明顯或消失, 產於東部低地
此主題相關圖片如下:


按此查看圖片詳細資料
此主題相關圖片如下:


按此查看圖片詳細資料
近似種姬白條金龜
此主題相關圖片如下:


按此查看圖片詳細資料
Polyphylla (Grananoxia) annamensis (Fleutiaux, 1887) 安南長鬚金龜 這是馬祖的新記錄種, 也是棲息在海岸環境
安南雄蟲
此主題相關圖片如下:


按此查看圖片詳細資料
此主題相關圖片如下:


按此查看圖片詳細資料
安南雌蟲
此主題相關圖片如下:


按此查看圖片詳細資料
| a13023 |
發表於: 2008/03/25 05:36:09pm
|
| 請問ROSalia大安南長鬚金龜產地在那裡體長多長顏色金黃很特殊能找到新品種實在是台灣之光 |
頂部 |
| Rosalia |
發表於: 2008/03/25 05:38:37pm
|
下面引用由a13023在 2008/03/25 05:36pm 發表的內容: 請問ROSalia大安南長鬚金龜產地在那裡體長多長顏色金黃很特殊能找到新品種實在是台灣之光
|
|
不好意思 由於尚未正式刊出 不便說明產地 還望見諒 |
頂部 |
| Yang |
發表於: 2008/03/25 06:25:28pm
|
[這篇文章最後由Yang在 2008/03/25 06:30pm 第 1 次編輯]
下面引用由alexcarol在 2008/03/25 06:02pm 發表的內容: 還沒刊出?! 這恐怕不太好吧 希望不要又鬧出事阿
怕怕XD
請問樓主大,您是作者本人嗎? 發文PO出這些東西您有經過作者本人同意嗎? 如果沒有 這篇文章還被列為精華
那我真的就覺得,這是非常不好的 請版主大大,問問學術相關人士
看看要怎麼處理這篇文吧
|
|
他就是「台灣天牛圖鑑」的作者周公 引述的文章是他跟小林先生所作
|
頂部 |
| Rosalia |
發表於: 2008/03/25 07:49:47pm
|
[這篇文章最後由Rosalia在 2008/03/27 06:46pm 第 1 次編輯]
感謝大家說明 我看到有點給他 /// 而且本來就可以引用 " in press" 的文章 況且圖是我自己的 如果真有人惡劣到把出版中的文章 拿出來搶先發表 那我也只能摸摸鼻子認了 |
頂部 |
| BRETT |
發表於: 2008/03/25 11:21:13pm
|
哈哈哈∼∼這篇可能是去年續某人叫林大哥回去看書之後的另一篇讓我笑到從椅子掉下來的作品 不過∼∼我也很期待周大哥的大作∼∼期待!期待! |
頂部 |
| 老甲虫 |
發表於: 2008/03/25 11:34:27pm
|
又是一本辛苦的著作 周博士又要讓蟲友們等多~~~~~~~~~~~~~~~~~~~久啊! 期待你的新作 |
頂部 |
| Rosalia |
發表於: 2008/03/26 09:49:03am
|
[這篇文章最後由Rosalia在 2008/03/26 09:50am 第 1 次編輯]
下面引用由黃仕傑在 2008/03/25 07:53pm 發表的內容: 周大發表的文章 是勿庸置疑的 我想alexcarol 不是故意要質疑 真是期待周大的新作 ...
|
|
仕傑兄昨晚真有義氣啊 我和黑豹馬糞金龜撿一路 您老卻是睡一路 果然是情義相挺啦 今天台中路上開車一路小心啊
下面引用由BRETT在 2008/03/25 11:21pm 發表的內容: 哈哈哈∼∼這篇可能是去年續某人叫林大哥回去看書之後的另一篇讓我笑到從椅子掉下來的作品 不過∼∼我也很期待周大哥的大作∼∼期待!期待!
|
|
去年某日我在山區和新認識的蟲友聊天 聊到我是研究天牛的 他也叫我去看 "台灣天牛圖鑑" 當下真是 冏rz ........ 超無言的啦!!
下面引用由老甲虫在 2008/03/25 11:34pm 發表的內容: 又是一本辛苦的著作 周博士又要讓蟲友們等多~~~~~~~~~~~~~~~~~~~久啊! 期待你的新作
|
|
感謝眾蟲友的打氣 雖然進度已經嚴重 delay 了 可是我還是會努力把它完成的 (出版社的編輯已經催稿催到想把我殺了) 我也恨不得一天有 72 小時可以用 許多分類上的問題應該短期無法有個滿意的結果
下面引用由動力裝置在 2008/03/26 01:11am 發表的內容: 這位alexcarol害我笑了 看來不止文章有看頭 連內容都很有笑點 果然是精華呀!
|
|
動力兄厚道一點 不要笑人家啦 花蓮的海鮮店找好沒 我四月份去花蓮要帶我去喔 如果不好吃就換我笑你 嘿嘿.....
下面引用由小小蟲在 2008/03/26 08:11am 發表的內容: 寫書歸寫書...有路邊攤可以吃的時候記得再call一下黑
|
|
小小蟲兄您還起的真早啊 小心早起的鳥兒被蟲吃喔 現在蟲季忙碌中 看來書要寫完的日子又要變遠了 星期四晚上有學生招在土城吃熱炒 要不要來參一腳啊?
|
頂部 |
| dorcus20 |
發表於: 2008/03/26 12:35:48pm
|
下面引用由Rosalia在 2008/03/26 09:49am 發表的內容: 星期四晚上有學生招在土城吃熱炒 要不要來參一腳啊?
|
|
雖然不是揪我..... 不過....嘿嘿.... 周大的學生在揪..... 有沒正妹呀....XD..... |
頂部 |
| peng4631 |
發表於: 2008/03/26 01:22:37pm
|
| 周博士您好,很佩服您的研究與發現,感謝您對台灣本土生態的貢獻,在此有一點小小要求,是否可以在圖片旁加上比例對照,讓我們可以了解這些美蟲的實物大小,謝謝 |
頂部 |
| Rosalia |
發表於: 2008/03/26 01:24:16pm
|
下面引用由dorcus20在 2008/03/26 12:35pm 發表的內容: 雖然不是揪我..... 不過....嘿嘿.... 周大的學生在揪..... 有沒正妹呀....XD.....
|
|
妹正不正見仁見智囉 身為教員的我不宜對學生的容貌 有任何個人的意見或標準 來了不就知道了 不過當天休揪的只是我學生總數的 1/50 而已 所以若不滿意還是有很大的改進空間 槍哥要來當然歡迎了 這次要帶什麼飲料啊? |
頂部 |
| 動力裝置 |
發表於: 2008/03/26 03:38:31pm
|
回歸正題一下 周大 您老貼的微白條是公的對吧 昨晚採集到的個體應該是母的 觸角短很多 翅鞘顏色也比公的來的深 |
頂部 |
| dorcus20 |
發表於: 2008/03/26 04:32:49pm
|
下面引用由Rosalia在 2008/03/26 01:24pm 發表的內容: 妹正不正見仁見智囉 身為教員的我不宜對學生的容貌 有任何個人的意見或標準 來了不就知道了 ...
|
|
周大這麼想喝飲料呀.... 不過明天是星期四..... 好猶豫呀.... 星期五還要上班呀....XD..... |
頂部 |
| Rosalia |
發表於: 2008/03/26 05:19:12pm
|
[這篇文章最後由Rosalia在 2008/03/26 05:22pm 第 1 次編輯]
下面引用由peng4631在 2008/03/26 01:22pm 發表的內容: 周博士您好,很佩服您的研究與發現,感謝您對台灣本土生態的貢獻,在此有一點小小要求,是否可以在圖片旁加上比例對照,讓我們可以了解這些美蟲的實物大小,謝謝
|
|
我拍照都用機械單眼 所以要再拍加比例尺的圖麻煩些 提供一下體長供參考
周氏金龜 12-13.5 mm 紅翅條金龜 16-20 mm 微白條金龜 15-19 mm 安南長鬚金龜 22-25 mm 淡水長鬚金龜 20-21 mm
下面引用由動力裝置在 2008/03/26 03:38pm 發表的內容: 回歸正題一下 周大 您老貼的微白條是公的對吧 昨晚採集到的個體應該是母的 觸角短很多 翅鞘顏色也比公的來的深
|
|
一般雌蟲色澤較深略偏黑 不過也有跟雄蟲色澤相近的個體
[b]下面引用由dorcus20在 2008/03/26 04:32pm 發表的內
周大這麼想喝飲料呀.... 不過明天是星期四..... 好猶豫呀.... 星期五還要上班呀....XD.....
|
|
為了甲魚拼了 槍哥你懂的 我隔天凌晨 4: 00 就要外出採集了 我和學生們不會吃到很晚的 |
頂部 |
| 小小蟲 |
發表於: 2008/03/26 05:35:49pm
|
下面引用由Rosalia在 2008/03/26 05:19pm 發表的內容: 為了甲魚拼了 槍哥你懂的 我隔天凌晨 4: 00 就要外出採集了 我和學生們不會吃到很晚的
|
|
你有甲魚 我帶豬鼻跟你拼了 明天土城哪裡再跟我說(我在土城工作八年...應該不會迷路)
|
頂部 |
| Rosalia |
發表於: 2008/03/26 05:46:01pm
|
下面引用由小小蟲在 2008/03/26 05:35pm 發表的內容: 你有甲魚 我帶豬鼻跟你拼了 明天土城哪裡再跟我說(我在土城工作八年...應該不會迷路)
|
|
應該在裕民路附近吧 明晚上課學生們才會告訴我地點 反正你住那麼近 豬鼻看起來肉質不輸甲魚喔 如果你敢帶來我就敢把它嗑掉 |
頂部 |
| 就是甲蟲 |
發表於: 2008/03/26 05:58:04pm
|
| 原來台灣還有這麼美的蟲,真欣慰 |
頂部 |
| 爬蟲小舖 |
發表於: 2008/03/26 10:34:04pm
|
[這篇文章最後由爬蟲小舖在 2008/03/26 10:35pm 第 1 次編輯]
這隻是???
此主題相關圖片如下:


按此查看圖片詳細資料
|
頂部 |
| Rosalia |
發表於: 2008/03/27 08:51:35am
|
下面引用由爬蟲小舖在 2008/03/26 10:34pm 發表的內容: 這隻是???
|
|
看那個採集籤 應該是我給你的蟲吧 還要問我 ? |
頂部 |
| 阿樣 |
發表於: 2008/03/27 09:59:50am
|
[這篇文章最後由阿樣在 2008/03/27 10:00am 第 1 次編輯]
周大哥 請教您一個問題
標籤有分採集籤和一般標本籤嗎 還是有其他
籤上的字體格式排列有一定的排法嗎?
|
頂部 |
| Rosalia |
發表於: 2008/03/27 11:06:42am
|
[這篇文章最後由Rosalia在 2008/03/27 11:50am 第 2 次編輯]
下面引用由阿樣在 2008/03/27 09:59am 發表的內容: 周大哥 請教您一個問題 標籤有分採集籤和一般標本籤嗎 還是有其他 籤上的字體格式排列有一定的排法嗎?
|
|
阿樣老師 採集籤是野外採集標本最重要的一部分 所以要記載確實的地點, 日期以及採集者 若是採集地點不願意曝光 或是一些較稀有的種類不想被太多人知道而濫採 可以略擴大其範圍 例如在清境農場採集到標本 可以記載為南投縣仁愛鄉 但是千萬不可張冠李戴 把恆春半島採集的記載成北橫 或是把日期往前或往後 我看過有些人這樣做 如果這樣做的話 這樣不論這標本是如何的稀有 將變得毫無價值 舉例來說 如果一個採集者 採集籤都詳實記載 即使是一隻很常見的星天牛 其珍貴性遠超過一隻由記載不確實的人所採集的黃帶天牛 因為一但被發現有任何一隻標本的採集記錄為不實記載 那這個人的所有標本都會變得毫無價值 即便只有一兩隻標本是如此 那以後就算花個十年時間 所有的標本都詳實記錄了 那此人的標本籤誠信度還不見得能讓人信服
標本籤的字體及格式沒有限制 除了地點, 日期及採集者外 我還會記錄海拔高度以及採集的方式 採集的方式如燈誘, 掃網 撈花或食葉性的昆蟲 我會記載植物名稱或屬名
一般大眾會誤把蟲名籤當成必備的標籤 其實這反而不是絕對必要的 鑑定籤如果是由該類群的專家所鑑定 則正確度會大大的提高, 且有必要保留此籤 如果憑自己個人的判斷為標本加上蟲名籤 一般常見沒有爭議的種類都還OK 不是那麼好分辨的種類就不要貿然加上蟲名籤
|
頂部 |
| 阿樣 |
發表於: 2008/03/27 11:28:24am
|
周大哥 謝謝你 我終於可以名正言順的邀請你來家裡坐坐(順便抓蟲)
請你喝壺好酒 酒我是不會喝
但一定有人陪你喝 酒不喝但是我可以做台
謝謝你給我及論壇所有人一些豐富知識 感謝你 下次來我有一張油畫要你幫我鑑定保管 請你來家裡坐坐^^ |
頂部 |
| Rosalia |
發表於: 2008/03/27 12:00:36pm
|
下面引用由阿樣在 2008/03/27 11:28am 發表的內容: 周大哥 謝謝你 我終於可以名正言順的邀請你來家裡坐坐(順便抓蟲) 請你喝壺好酒 酒我是不會喝 但一定有人陪你喝 酒不喝但是我可以做台 謝謝你給我及論壇所有人一些豐富知識 ...
|
|
阿樣老師謝謝了 要請嚴老跟名牌老師陪我喝嗎? 蟲季開始了 相對地喝酒時間就很難找了 不過今年去中部撿碳燒牛排時 就有機會喝了吧 到時一起去撿啊 我去年又沒撿到紅的 那張肥天牛畫好了? 我一定會好好珍藏的 等你跟梵谷一樣有名的時候 我還是會保留那張畫的
|
頂部 |
| 小小蟲 |
發表於: 2008/03/28 12:57:46pm
|
下面引用由JACKIE0324在 2008/03/27 11:40pm 發表的內容: p.s. 沒注意到在土城,這麼晚通知! 害我這皇家禮炮只能再繼續放著生蜘蛛網了~~~ 上山?好幾年沒上山了,真想去啊!
|
|
晚通知..不會呀..跟你說完電話我跟周老大都抓兔子了...啥米芋頭酒+台啤 害我睡到11點半才起床..還在暈 |
頂部 |
| dorcus20 |
發表於: 2008/03/28 03:53:21pm
|
下面引用由小小蟲在 2008/03/28 12:57pm 發表的內容: 晚通知..不會呀..跟你說完電話我跟周老大都抓兔子了...啥米芋頭酒+台啤 害我睡到11點半才起床..還在暈
|
|
那還好我沒到.... 不然我今天上班開會就開天窗了....Orz..... 最近被老闆叮的很兇呀.... |
頂部 |
| 小小蟲 |
發表於: 2008/03/28 09:10:34pm
|
不過話說回來 周大班上的女同學們各個青春洋溢年輕貌美.至少都是水準之上.我是說真的 年輕真好呀...都小我12..13歲..75..76年次的..欸..感嘆歲月不饒人阿 |
頂部 |
| alexcarol |
發表於: 2008/03/28 09:19:17pm
|
| 我-------------------無言 |
頂部 |
| felan |
發表於: 2008/03/28 10:03:11pm
|
此主題相關圖片如下:


按此查看圖片詳細資料
請問周大大 圖一中的那隻金龜子與我PO上 的這隻蒙古豆金龜有何不同??
P.S圖片出自[台灣昆蟲維基館] |
頂部 |
| Rosalia |
發表於: 2008/03/31 10:34:34am
|
[這篇文章最後由Rosalia在 2008/03/31 10:45am 第 1 次編輯]
下面引用由JACKIE0324在 2008/03/27 11:40pm 發表的內容: 周兄 另外再請教: (1) 現在的飼育品因累代較多,若為同一區域不同種源累代的標本籤,是否就喪失其價值? (2) 若像日本為了好的種源,可能出現不同山區採集而累代的標本,是否也不具價值? ...
|
|
徐兄
1. 累代的蟲,就好像養殖場或水族箱中的熱帶魚,就分類研究角度而言,是不太具有 " 價值" 的,但是如果以觀賞的角度而言,有喜好者則自然讓它產生 "價值" (如市場價值,存在價值及心靈層面的價值等等......) 2. 的問題我的看法同1 3. 應該也同 1 吧
下面引用由felan在 2008/03/28 10:03pm 發表的內容:
請問周大大 圖一中的那隻金龜子與我PO上 的這隻蒙古豆金龜有何不同?? P.S圖片出自[台灣昆蟲維基館]
|
|
基本上兩個是不同屬的東西 所以差異應該很大吧 從圖片就可以看出許多不同點 |
頂部 |
| 動力裝置 |
發表於: 2008/06/02 01:38:20pm
|
此主題相關圖片如下:


按此查看圖片詳細資料
給您比對一下 |
頂部 |
| dorcus20 |
發表於: 2008/06/02 05:04:47pm
|
下面引用由動力裝置在 2008/06/02 01:38pm 發表的內容: 給您比對一下
|
|
好閃.... 動力大.... 你真的有貼圖嗎? 我怎麼啥都看不到.... |
頂部 |
| 動力裝置 |
發表於: 2008/06/02 06:14:15pm
|
下面引用由dorcus20在 2008/06/02 05:04pm 發表的內容: 好閃.... 動力大.... 你真的有貼圖嗎? 我怎麼啥都看不到....
|
|
那一定是您電腦壞掉了 槍哥 換台電腦吧 |
頂部 |
| cpchun |
發表於: 2008/06/02 10:56:52pm
|
[這篇文章最後由cpchun在 2008/06/02 11:02pm 第 1 次編輯]
下面引用由小小蟲在 2008/03/28 09:10pm 發表的內容: 不過話說回來 周大班上的女同學們各個青春洋溢年輕貌美.至少都是水準之上.我是說真的 年輕真好呀...都小我12..13歲..75..76年次的..欸..感嘆歲月不饒人阿
|
|
小小蟲: 百看(照片)不如一算......沒想到你還那年輕啊^+++++++++^
75..76年次......年輕真好呀
10幾年前在台東上班...看當地人都稻香加茉綠蜜茶或養樂多外加白灰包葉檳榔....我是無福消受啦...大學時..一次保力達B加米酒頭就讓我發誓不再喝米酒了 |
頂部 |
| 動力裝置 |
發表於: 2008/06/03 01:27:09am
|
下面引用由cpchun在 2008/06/02 10:56pm 發表的內容: 小小蟲: 百看(照片)不如一算......沒想到你還那年輕啊^+++++++++^ 75..76年次......年輕真好呀 10幾年前在台東上班...看當地人都稻香斥倦b榔....我是無福消受啦...大學時..一次保力達B加米酒頭就讓我發誓不再喝 ...
|
|
是周大的班上學生的年齡啦 小小蟲也是6開頭的 別以為他很幼齒 |
頂部 |
| cpchun |
發表於: 2008/06/04 00:26:24am
|
[這篇文章最後由cpchun在 2008/06/04 00:47am 第 1 次編輯]
下面引用由動力裝置在 2008/06/03 01:27am 發表的內容: 是周大的班上學生的年齡啦 小小蟲也是6開頭的 別以為他很幼齒
|
|
動力大大: 該說是我用字截斷太過精簡啦... 我羨慕的年輕是指周大的學生基本上跟小小蟲無關^+++++^ 想引述的是.....小小蟲年齡不應該那年輕(跟相片比對)....當然....如電視明星所言:本人比照片年輕帥勁是應該的啦.......都怪我未得一見廬山面目便胡亂發言
PS:不打渾搞笑...就論壇所知...小小蟲老弟這1-2年著實辛苦....欠保養是應該的(好像又虧到他了^++++^) |
頂部 |
| Rosalia |
發表於: 2008/08/11 12:07:59pm
|
[這篇文章最後由Rosalia在 2008/08/11 12:18pm 第 1 次編輯]
這篇文章總算刊登出來了 曾有人質疑周氏金龜與 Anomala 條金龜屬口器與生殖器構造類似 所以沒必要建立一個新屬 大家認為這和青銅金龜會是同一屬的嗎? 那麼請問質疑者, 你的口器和生殖器構造與紅毛猩猩類似 所以您也是和紅毛猩猩同一屬的囉? |
頂部 |
| jackplus |
發表於: 2008/08/11 02:35:45pm
|
[這篇文章最後由jackplus在 2008/08/11 02:36pm 第 1 次編輯]
周大... 如果您的新書又出版... 那我每天隨身攜帶的公事包... 除了天牛圖鑑外 不是又要多一本必帶書籍.... 很重.....@@"
p.s.在火車上K天牛圖鑑很奇怪嗎?為什麼大家都用異樣眼光看我~~@@ |
頂部 |
|
|