|
|
|
台灣金龜系列之25-- 台灣7種陷紋金龜之黑艷陷紋花金龜
(這篇文章已經被閱讀了 1498 次) 時間:2009/02/18 12:25:46pm 來源:ampicillin00
[這篇文章最後由ampicillin00在 2012/11/13 10:17:10am 第 2 次編輯]
臺灣稱作陷紋的金龜有7種
1.北埔陷紋花金龜 Coelodera penicillata formosana Moser
此主題相關圖片如下:


按此查看圖片詳細資料
2.絨毛陷紋花金龜 Taeniodera flavofasciata formosana (Moser)
此主題相關圖片如下:


按此查看圖片詳細資料
3.黑斑陷紋花金龜Taeniodera nigricollis viridula (Niijima et Matsumura)
此主題相關圖片如下:


按此查看圖片詳細資料
4.黃斑陷紋花金龜 Euselates tonkinensis formosana Moser
此主題相關圖片如下:


按此查看圖片詳細資料
5.巴蘭陷紋花金龜 Euselates perraudieri taivanica Miksuc
此主題相關圖片如下:


按此查看圖片詳細資料
6.叉斑陷紋花金龜 Euselates proxima Miksic
此主題相關圖片如下:


按此查看圖片詳細資料
7.黑艷陷紋花金龜 Macranotops nigropubescens(Miksic)
此主題相關圖片如下:


按此查看圖片詳細資料
以下介紹黑艷陷紋花金龜 Macranotops nigropubescens(Miksic)
| ampicillin00 |
發表於: 2009/02/18 12:50:49pm
|
黑艷陷紋花金龜 Macranotopsnigropubescens(Miksic)
此主題相關圖片如下:


按此查看圖片詳細資料
此主題相關圖片如下:


按此查看圖片詳細資料
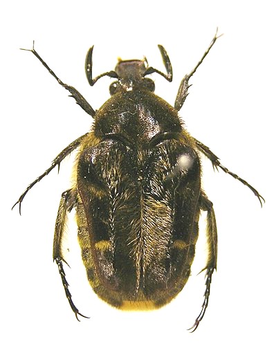
這隻陷紋大概是所有稱陷紋金龜中 色澤 外型最不起眼的一隻 體纖毛頗多
此主題相關圖片如下:


按此查看圖片詳細資料
黑灰的色澤 讓它比不上其它稱陷紋的金龜亮眼 但其公蟲觸角片狀部是所有稱陷紋金龜中最大且長的 公蟲1
此主題相關圖片如下:


按此查看圖片詳細資料
公蟲2
此主題相關圖片如下:


按此查看圖片詳細資料
母蟲
此主題相關圖片如下:


按此查看圖片詳細資料
外形特徵: 1.體長: 17–19mm。 2.體色:黑至灰黑色, 鞘翅兩邊各具一縱绫線,上佈滿灰黃纖毛, 兩旁各具2個黃色斑紋,尾飾板中央易具縱黃斑,部分個體較不明顯
此主題相關圖片如下:


按此查看圖片詳細資料
3.腹部: 腹部黑色至棕黑, 中胸突起呈三角形,公蟲具較密灰黃纖毛,母蟲較稀疏。
生態習性: 1.7–8月出現。 2.幼蟲可於朽木頭中採集到。
3.分佈海拔稍高,分佈很廣的種類。
但一般而言採集數很少,採到較大的機率都是朽木採集法較多。
甚至多到可以大膽預測只要是朽木中採到的陷紋金龜幼蟲有極大的機會都是牠(其它陷紋反而較少) 藤枝,清境也有,阿里山也有,Yang大也曾貼過北部的, 可見牠是分佈很廣的種類。
朽木中的數量不算少,見到的頻率也不低,推想野外族群應有一定數量,牠會訪花,但撈花很難採到,原因我想是(ps.牠可能真的數量不少)牠"飛行能力"真的很好,一撈就飛 我們用撈的方式 我們只撈中過一兩次而已,想應該運氣相當好才入網的,想抓這隻用撈的應該是不實際的,朽木採集應該會較務實一點。
4.飼養的話,此龜容易繁殖。 較不會有公母不交配的問題出現 22-24度的溫度應該對牠們就很合適了 幼蟲飼養也相當簡單,用木屑就可以了,很少會有死亡發生。 這點也是我們推論野外數量多的理由之一。
公母區分
此主題相關圖片如下:


按此查看圖片詳細資料
此主題相關圖片如下:


按此查看圖片詳細資料
1.前腳脛節:母寬於公。
2.後腳脛節上有橘毛: 有為公蟲無則母蟲。
3.觸角片狀部:公蟲大且長。
4.公蟲胸腹部纖毛較密。
5.公蟲腹部呈弓狀 母蟲飽滿
此主題相關圖片如下:


按此查看圖片詳細資料
公蟲
此主題相關圖片如下:


按此查看圖片詳細資料
母蟲
頗優的繁殖文章: 阿倖 ~黑豔陷紋飼育紀錄(1)~ http://insectforum.no-ip.org/gods/cgi-bin/topic.cgi?forum=2&topic=3525
~黑豔陷紋飼育紀錄(2)~ http://insectforum.no-ip.org/gods/cgi-bin/topic.cgi?forum=2&topic=9364
參考資料:木生植食性金龜
標本來源: tacoma
ps: [感謝提供資料的蟲友們 一種物種的了解 透過大家的資料提供與討論, 更是能完整周嚴的 並也希望大家能對書寫有誤處,能告知更改 謝謝
|
頂部 |
| 芳710614 |
發表於: 2009/02/18 01:13:04pm
|
原來黑艷陷紋花金龜有哪麼多種哩 感謝ampicillin00大大 讓小弟又長了ㄧ份知識
|
頂部 |
| ampicillin00 |
發表於: 2009/02/18 05:14:54pm
|
下面引用由芳710614在 2009/02/18 01:13pm 發表的內容: 原來黑艷陷紋花金龜有哪麼多種哩 感謝ampicillin00大大 讓小弟又長了ㄧ份知識
|
|
阿芳: 黑艷陷紋花金龜只有一種啦 台灣金龜中文名子中有陷紋2字 才是7種啦
|
頂部 |
| 花蜘蛛 |
發表於: 2009/02/18 06:04:27pm
|
| 有一年,北埔陷紋花金龜還跑來家中陽台花盆中產卵,隔年春天出一堆金龜 |
頂部 |
| 鐵甲無敵 |
發表於: 2009/02/18 07:20:55pm
|
請問北埔和黑紋及黃紋是屬地海拔的嗎? 因為以前在茂林山區朽木中找到過!
|
頂部 |
| ampicillin00 |
發表於: 2009/02/19 12:34:09pm
|
下面引用由花蜘蛛在 2009/02/18 06:04pm 發表的內容: 有一年,北埔陷紋花金龜還跑來家中陽台花盆中產卵,隔年春天出一堆金龜
|
|
北埔這隻 我沒用腐植土繁殖過 倒是黃斑陷紋可用腐植土 謝謝
下面引用由鐵甲無敵在 2009/02/18 07:20pm 發表的內容: 請問北埔和黑紋及黃紋是屬地海拔的嗎? 因為以前在茂林山區朽木中找到過!
|
|
且問黑紋是指黑斑陷紋嗎 若是此三種屬中低海拔 因此可尋獲 謝謝提供資訊 |
頂部 |
|
|